Svet

Orkan Irene proti obali ZDA

Orkan Irene Reuters
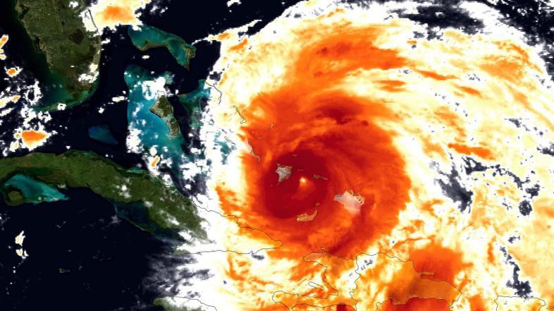
Orkan Irene po pustošenju po Bahamih nadaljuje pot proti vzhodni obali ZDA. Okrepil se bo na četrto stopnjo.

V ZDA s strahom pričakujejo orkan Irene, ki se je v sredo okrepil v orkan tretje stopnje. Veliko škode je že povzročil na Bahamih, rušil je drevesa in uničil veliko hiš. Orkan, ki je na otočje prinesel velike količine padavin in močan veter, je povzročil veliko gmotno škodo, na jugu otočja je uničenih ali hudo poškodovanih okoli 90 odstotkov domov.

"Še vedno bo dosegel moč druge stopnje na območju regije Delmarva in na jugu New Jerseyja," je danes dejal direktor ameriškega nacionalnega centra za orkane, Bill Read.

Orkan Irene | Avtor: Reuters Reuters
Orkan naj bi danes zvečer in v petek zjutraj po morju potoval mimo vzhodne obale osrednje in severne zvezne države Floride in se v soboto zjutraj približal rtu Hatteras v zvezni državi Severna Karolina. Od tam naj bi nadaljeval pot čez morje proti severu proti zvezni državi New York.

Zaradi orkana so obilne padavine zajele tudi Dominikansko republiko in zahtevale najmanj tri življenja, več ljudi pa pogrešajo. Kakih 38 tisoč ljudi je moralo zapustiti domove, okoli 90 občin je bilo odrezanih od zunanjega sveta. Obalne predele je poplavilo, zato je obstajala nevarnost, da bi padavine sprožile tudi zemeljske plazove.

Ameriške oblasti so sicer že začele evakuirati turiste s plaž Severne Karoline in nekaterih otokov.

Komentarjev 1
Napišite prvi komentar!

Za komentiranje je potrebna prijava/registracija. Če nimate uporabniškega računa, izberite enega od ponujenih načinov in se registrirajte v nekaj hitrih korakih.