Svet

Ste izvedeli kaj koristnega, novega, zanimivega… Kliknite tukaj in Žurnal24 izberite za svoj prednostni vir novic na Googlu.

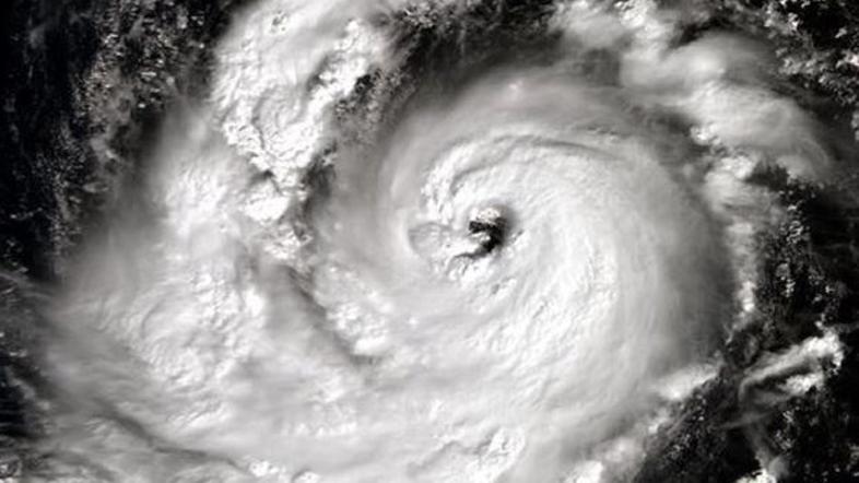
Orkan Ophelia vse bližji in vse močnejši

Orkan Ophelia Reševalni pas/Twitter
Orkan Ophelia se nezadržno približuje Evropi. Vpliva tudi na vreme pri nas.

Orkan bo po napovedih obale Irske in Velike Britanije dosegel jutri, točno na 30. obletnico hudega neurja, ki je zahteval najmanj 20 ljudi, povzročil ogromno gmotno škodo in izruval okrog 15 milijonov dreves.

Ameriški Nacionalni center za orkane je sporočil, da Ophelia trenutno s seboj prinaša vetrove maksimalne hitrosti do 185 kilometrov na uro, a hkrati dodaja, da naj bi do jutri in torka ti vetrovi oslabeli.

Približevanje Ophelie | Avtor: National Hurricane Center National Hurricane Center

Glede na pričakovanja meteoroloških služb na Irskem in v Veliki Britaniji bodo njihove obale jutri dosegli vetrovi, ki bodo pihali s hitrostjo 130 kilometrov na uro.

Topla jesen Vreme Slovenija Babjemu poletju šteti dnevi!

Najmočnejši vpliv orkana pričakujejo v severnem in zahodnem delu britanskega otoka, hitrost vetrov bi lahko dosegla 130 kilometrov na uro. "Ophelia bo kot kaže ostala orkan prve kategorije. V nedeljo bo prešla zahodni del Portugalske, v ponedeljek pa krenila proti Veliki Britaniji. Dodatno bo zvišala temperature v Evropi, ki bodo od 5 do 7 stopinj višje kot v dolgoletnih povprečjih za to letno obdobje," je za Weather Channel povedala meteorologinja Hannah Findley.

Na Irskem so že izdali rdeči alarm za območja na zahodu otoka, ljudi opozarjajo na nevarnost visokih valov in možnih poplav ter na morebitno gospodarsko škodo, ki bi jo povzročil orkan. Opozorilo pred prihajajočimi vetrovi so izdali tudi na otokih, ki pripadajo Portugalski.

Gre za deseti orkan, ki se je v letošnjem letu razvil nad Atlantikom, kar se ni zgodilo že od leta 1893 naprej. Kot kaže, bo Ophelia zrušila še en rekord; meteorologi pričakujejo, da bo ta orkan prvi, ki bo dosegel evropska tla od leta 1961 naprej. Doslej sta obale Portugalske in Španije dosegla le dva tropska ciklona, in sicer leta 1842 in 2005.

Orkan Ophelia Ophelia Svet Po letu 1961 proti Evropi prvi orkan

dezurni@zurnal24.si

Komentarjev 1
Napišite prvi komentar!

Za komentiranje je potrebna prijava/registracija. Če nimate uporabniškega računa, izberite enega od ponujenih načinov in se registrirajte v nekaj hitrih korakih.