"Dorian je zdaj orkan pete stopnje s stalnimi vetrovi okoli 267 kilometrov na uro," je sporočil ameriški Nacionalni center za orkane iz Miamija.
Tropski vihar, ki se sicer premika počasi, približno pet kilometrov na uro, kar pa na žalost pomeni, da bo pustošenje trajalo toliko dlje. Orkan je po zadnjih podatkih že dosegel Bahame, kjer poročajo o podrtih drevesih in poplavljanju nižjih delov obale, otok Great Buana Cay je že brez elektrike.
Hurricane Dorian made landfall in the Bahamas as a Category 5 hurricane with sustained winds of 185 mph and gusts over 220 mph, making it a “catastrophic” storm with “devastating winds," according to the National Hurricane Center. Follow live updates. https://t.co/Yp43NXB5mT pic.twitter.com/KAIu73iuy2
— The New York Times (@nytimes) September 1, 2019
Orkan, gre za najmočnejši orkan, ki je kdaj prizadel Bahame, naj bi nad otočjem divjal tudi v ponedeljek. Na nekaterih območjih naj bi padlo več kot 600 litrov dežja na kvadratni meter. Po oceni direktorja nacionalnega centra Kena Grahama gre za zelo zelo nevarno situacijo.
More videos coming from the Abaco Islands from the devastations by Hurricane Dorian....this is complete heartbreak. Prayers to all. 😥🙏🏽 #hurricane #hurricanedorian #Bahamas #242 pic.twitter.com/lfvM4dzQtv
— 🇧🇸James Julmis🇧🇸 (@julmisjames) September 1, 2019
Premier Bahamov Hubert Minnis je prebivalce arhipelaga v Atlantskem oceanu, ki živijo na poti "izredno močnega in potencialno življenjsko nevarnega orkana", že v soboto pozval, naj poskrbijo za svojo varnost. Na novinarski konferenci jim je svetoval, naj se v skladu z navodili evakuirajo. "Če se ne evakuirate, lahko za to plačate s svojim življenjem," je posvaril.
Category 5 #HurricaneDorian impact #Bahamas #Dorian2019 #Dorian 👀🌀 pic.twitter.com/sdKohiv0db
— Máximo Alexander (@MaximoSPQR) September 1, 2019
Natančna pot orkana je še vedno nejasna. Prebivalci Floride zaenkrat nimajo navodil o evakuaciji, so se pa mnogi založili s hrano, vodo in drugimi zalogami. Številni so tudi pripravljeni na hiter odhod na varno.
Na Floridi razglašene izredne razmere
Guverner Floride Ron DeSantis je razglasil izredne razmere in milijone prebivalcev opozoril, naj se pripravijo na "izreden dogodek". "Pričakujemo obsežne poplave. Vse prebivalce Floride pozivamo, naj si naredijo sedemdnevno zalogo hrane, zdravil in vode," je dodal. Za okrožja Palm Beach, Brevard in Martin je bila razglašena obvezna evakuacija.
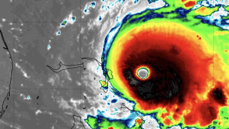
🛰️ Satellite imagery this morning of now Category 5 Hurricane Dorian approaching the Abaco Islands in the northern Bahamas. For the latest on Dorian visit https://t.co/ONza7RQRVp pic.twitter.com/GJRAKhr7jA
— NWS Austin/San Antonio (@NWSSanAntonio) September 1, 2019
Ameriški predsednik Donald Trump, ki ima na Floridi svoje posestvo Mar-a-Lago, je dejal, da bi se lahko Dorian izkazal za "absolutno pošast". Zaradi prihajajočega orkana je tudi odpovedal pot na Poljsko.
dezurni@zurnal24.si
narod naj pokrepa od teh norih viharjeva in vse je lahko uničeno, medtem ko gre za vojsko in oboroževanje na milijarde dnarja, pa baje bi imeli še vesoljsko vojsko ... no tukaj pa ne morejo tega razbit, zato, da bi… ...prikaži več preživeli brez škode ... ne, seveda narod ni pomemben, razen ko plača davke