Svet
29 ogledov

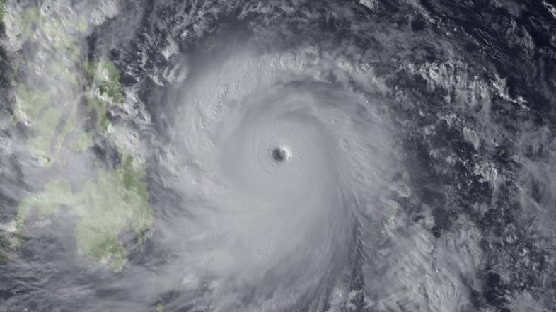
Filipine prizadel supertajfun

tajfun Haiyan
1/9
Reuters
Tajfun Haiyan, na Filipinih znan kot Jolanda, naj bi bil eden od najmočnejših tajfunov. Več tisoč ljudi so evakuirali.

Filipinske oblasti so prizemljile vsa letala in ustavile ves ladijski promet. Tajfun Haiyan naj bi dosegel otoka Samar in Leyte v zgodnjih petkovih urah. Vetrovi v središču tajfuna naj bi dosegali hitrosti do 215 kilometrov na uro, medtem ko naj bi posamezni sunki lahko dosegli celo 250 kilometrov na uro.


Kot poročajo, je nevihta ena od največjih, kar so jih kdaj videli. Gre za tajfun pete kategorije, torej najvišje stopnje. Gmota je imela v četrtek popoldne premer 800 kilometrov.

Predsednik Benigno Aquino je prebivalce opozoril, da gre za resnično nevarnost, na katero se je treba pripraviti, saj bodo le tako lahko ublažili njene posledice. Najhuje naj bi bilo na obalnih območjih, saj pričakujejo, da bodo valovi segali tudi do šest metrov visoko. Z obalnih območij, rečnih bregov in gorskih pobočij so evakuirali več tisoč ljudi.

Trije mrtvi

Tajfun naj bi povzročil nevšečnosti deset milijonom ljudem, zaradi katastrofe pa so umrli že trije. Lokalne oblasti poročajo, da sta življenje izgubila mati in otrok, ki sta utonila v poplavi. Humanitarne organizacije se bojijo, da bodo posledice Haiyana velikanske ne samo na območjih na njegovi poti, temveč tudi na bližnjih otokih. Še posebno ranljivi so prebivalci otoka Bohol, ki ga je prejšnji mesec opustošil potres z magnitudo 7,2.

Na leto Filipine prizadene vsaj 20 tajfunov. Leta 2011 je v tajfunu Washi umrlo 1.200 ljudi, 300 tisoč jih je ostalo brez strehe nad glavo. Septembra je tajfun Usagi opustošil otok Batanes in nadaljeval svojo uničujočo pot na jugu Kitajske. Lanska najmočnejša nevihta Bopha je zravnala tri obalna mesta na otoku Mindanao, pri čemer je umrlo 1.100 ljudi. Višino škode so takrat ocenili na 1,04 milijarde dolarjev.

Komentarjev 1
Napišite prvi komentar!

Za komentiranje je potrebna prijava/registracija. Če nimate uporabniškega računa, izberite enega od ponujenih načinov in se registrirajte v nekaj hitrih korakih.