Svet

Ste izvedeli kaj koristnega, novega, zanimivega… Kliknite tukaj in Žurnal24 izberite za svoj prednostni vir novic na Googlu.

"Mislili so, da so varni, a zdaj kličejo na pomoč"

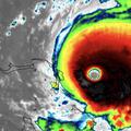
orkan Dorian Bahami
1/3
Epa
Na stotine domov je poplavljenih, uničenih. Do zdaj je potrjenih pet mrtvih, a se bojijo, da je žrtev še več.

Orkan Dorian nad Bahami vztraja nepričakovano dolgo, saj se je v zadnjem dnevu pomaknil le za 20 kilometrov. Steve McAndrew, član Rdečega križa, je za BBC povedal, da v dvajsetih letih, odkar pomaga na kriznih območjih, še ni videl orkana, ki bi se toliko časa zadrževal praktično na mestu. 

Posnetki in fotografije očividcev kažejo razdejanje, ki ga orkan pušča za seboj. Ljudje so pred naraščajočo vodo bežali na strehe. Evakuirati so morali bolnišnico v mestu Freeport, kjer je pod vodo tudi letališče. "Ljudje, ki so mislili, da so na varnem, kličejo na pomoč," je za Reuters povedala prebivalka Freeporta Yasmin Rigby. 

Finsko podjetje ICEYE je objavilo satelitski posnetek, ki nazorno pokaže poplavljeno območje na otoku Grand Bahama. Novinar Clint Watson iz glavnega mesta Nassau je za BBC dejal, da je težko dojeti, kakšne količine padavin so padle v kratkem. S posnetkov, ki jih pošiljajo s prizadetih območij, je videti, kako voda vdira v stavbe. 

Tamkajšnji mediji navajajo, da je mesto Marsh Harbour na otočju Abaco povsem uničeno. Ob tem svarijo, da bi se število žrtev lahko še povzpelo, saj je na Abacu orkan pokazal vso svojo moč. 

Premier Hubert Minnis je že dejal, da gre za veliko tragedijo in da je opustošenje veliko. Humanitarne organizacije se bojijo, da so narasle vode onesnažile pitne vire. Na otočju bodo potrebovali tudi drugo humanitarno pomoč, saj je poškodovanih ali uničenih najmanj 13 tisoč stavb. Ljudje so ostali brez vsega, potrebovali bodo tako hrano kot zdravila. 

orkan Dorian Bahami | Avtor: Epa Epa

Orkan Dorian medtem nadaljuje pot proti vzhodni obali ZDA. Približal naj bi se tako obali Floride kot Georgie in Južne Karoline. Vremenoslovci pričakujejo, da bo Dorian na poti oslabel. 

Orkan Dorian Dorian Svet "Nahajamo se sredi zgodovinske tragedije"

dezurni@zurnal24.si

Komentarjev 1
Napišite prvi komentar!

Za komentiranje je potrebna prijava/registracija. Če nimate uporabniškega računa, izberite enega od ponujenih načinov in se registrirajte v nekaj hitrih korakih.